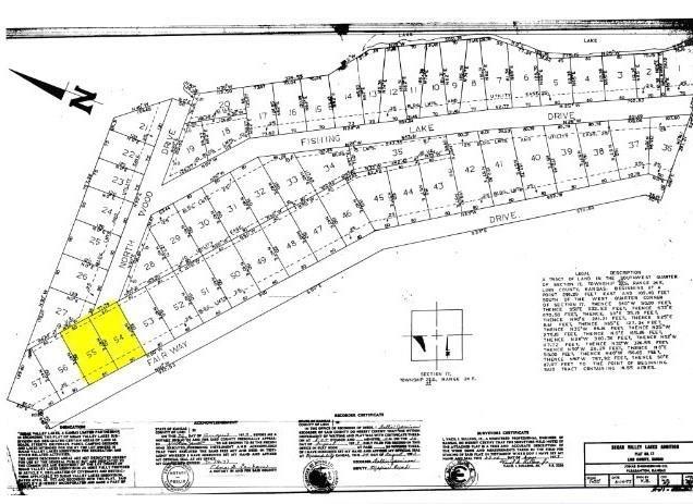
Beautiful & secluded building lot located in Sugar Valley Lakes, Mound City KS. Front side of the lot is right across the road from the golf course & the back side of the lot is right across the road from the 9-Acre Fishing Lake. this lot would be a perfect building site. Sugar Valley Lakes is a private recreational development, located about 1-hour south of the Kansas City area, on Highway 7. Sugar Valley Lakes has a beautiful 9- hole, par 36, golf course Sugar Valley Lakes offers many access areas, parks, playground areas and beaches for the use of private property owners and Individual guests. Sugar Valley Lakes is 1160 acres of excitement. You will enjoy the beauty and challenge of the 9-hole USGA golf course. There is a club house and complete pro-shop which will add to your enjoyment. A swimming pool and tennis court provide great opportunities to have fun while you stay active and healthy. Your pleasure is topped off with the area's finest boating and fishing lakes. Sugar Valley Lakes is nestled in a wooded area teaming with lakes and fun! Join us for everything you want in relaxed country living. Get away from the hassles of crowded city life to the sports, scenic beauty and leisure lifestyle, that's yours. Enjoy the beautiful sunrises and sunsets to start and end each day. Sugar Valley Lakes has year-round entertainment for the entire family. The Recreation Committee organizes dances, annual pig roasts, hayrides, craft sales, potluck dinners, special holiday events for the Fourth of July, Thanksgiving, Christmas and more. You and your family will love the great times with a great bunch of people. Come and look at this little piece of paradise!
Copyright © 2025 ELITE Realty.